Solar terciario en venta en La Pobla de Vallbona, Polígono Industrial l'Eliana



Solar terciario en venta en La Pobla de Vallbona, Polígono Industrial l'Eliana

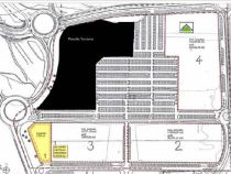
Tuejar 100, 46185 La Pobla de Vallbona (València)
  • Addmeet Inversión, Solar terciario En venta en La Pobla de Vallbona
  • Addmeet Inversión, Solar terciario En venta en La Pobla de Vallbona

Características

  • Superficie:2.540  m²
  • Ocupación:2.032  m2(%)
  • Edificabilidad:5.080  m²
  • Usos compatibles:Oficinas, Hotelero, Comercial
  • Clave urbanística:-
  • A.R.M:20,00 m
  • Fondo:71,00 m
  • P.E:51,00 m
  • ServidumbresNo
  • Fachada:150 m

Datos económicos

  • Precio venta:2.540.000 €
  • Precio venta / m²t:500 €/m²
  • Precio / m²s:1.000 €/m²

Comentarios

  • Solar terciario en venta en La Pobla de Vallbona (Valencia) junto a la autovía CV-35 en zona comercialmente consolidada (90.000 m2 comerciales) junto al Centro Comercial El Osito, el Hipermercado con galería comercial de Carrefour,Leroy Merlín, Casa, Oca... Previsto desarrollo de proyecto de mediana comercial en la parcela colindant. Parcela perfecta para el desarrollo de proyectos de oficinas y hoteles budget de hasta 5.080 m2 de edificabilidad.

Inmuebles que quizás te interesen

  • Solar terciario en Zaragoza

    Solar terciario en Zaragoza

    Precio: 1.341.200 €

  • Solar terciario en Zaragoza

    Solar terciario en Zaragoza

    Precio: 1.451.600 €

  • Solar terciario en Zaragoza

    Solar terciario en Zaragoza

    Precio: 6.124.400 €

  • Solar terciario en Santa Cruz de Tenerife

    Solar terciario en Santa Cruz de Tenerife

    Precio: 6.863.800 €

Localización del inmueble